
By
湘南ジャーナル

By
号外NET 平塚市・大磯町

By
号外NET 平塚市・大磯町
![平塚2024]秋に向けてオープン予定のスーパービバホーム湘南平塚店の工事が進んでいます。 | 大磯・平塚町情報](https://i0.wp.com/ooiso.sakura.ne.jp/wp/wp-content/uploads/2024/07/IMG_0675-scaled.jpg?ssl=1)
By
大磯・平塚町情報 |
![平塚2024]秋に向けてオープン予定のスーパービバホーム湘南平塚店の工事が進んでいます。 | 大磯・平塚町情報](https://i0.wp.com/ooiso.sakura.ne.jp/wp/wp-content/uploads/2024/07/IMG_0673-1024x768.jpg?ssl=1)
By
大磯・平塚町情報 |

By
厚木らぼ
![平塚2024]秋に向けてオープン予定のスーパービバホーム湘南平塚店の工事が進んでいます。 | 大磯・平塚町情報](https://i0.wp.com/ooiso.sakura.ne.jp/wp/wp-content/uploads/2024/07/IMG_1013-1024x768.jpg?ssl=1)
By
大磯・平塚町情報 |

By
一生懸命さとう君 - ココログ

By
号外NET 平塚市・大磯町
![平塚2024]秋に向けてオープン予定のスーパービバホーム湘南平塚店の工事が進んでいます。 | 大磯・平塚町情報](https://i0.wp.com/ooiso.sakura.ne.jp/wp/wp-content/uploads/2024/07/IMG_0672-1024x768.jpg?ssl=1)
By
大磯・平塚町情報 |

By
ビバホーム

By
ビバホーム

By
号外NET 平塚市・大磯町

By
スマイル クボ smilekubot - WordPress.com

By
カナロコ

By
Cafe JB

By
47NEWS

By
一生懸命さとう君 - ココログ

By
ビバホーム

By
Threads
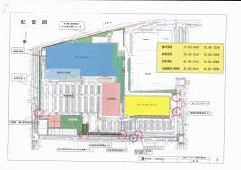
ビバホーム 平塚ビバホーム 平塚2024]秋に向けてオープン予定のスーパービバホーム湘南平塚店の工事が進んでいます。ビバホーム |ビバホーム 大磯・平塚町情報ビバホーム 平塚市】黒部JT跡地に建設中のショッピングセンターには「スーパービバホーム」をはじめ「ヤマダ電機」やスーパーマーケット「エイビイ」の出店が明らかになりました!ビバホーム ビバホーム |ビバホーム 号外NETビバホーム 平塚市・大磯町ビバホーム スーパービバホーム湘南平塚店ビバホーム |ビバホーム ホームセンタービバホーム ビバホームビバホーム DIYからリフォームまで暮らしをもっと快適に!ビバホーム 平塚のJT工場跡地ビバホーム 大型複合商業施設新設へビバホーム 2024年1月開業目指すビバホーム 「地域最大級の次世代型ホームセンター」|47NEWS(よんななニュース)